3401 Ridgeland Avenue, Berwyn, IL 60402
Land
Built in ——
0.58acre lot
—— car garage
$——/sqft
Listed 2 months ago
Property Description
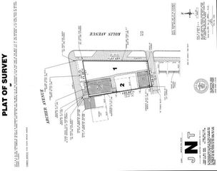
Prime development opportunity in Berwyn-3401 Ridgeland Avenue is a 25,388 SF site located just south of Ogden Avenue (Historic Route 66) in a highly accessible and amenity-rich area. The property offers outstanding visibility and connectivity, with curb cuts along Ridgeland and alley access on both the north and east sides, enhancing site functionality for parking and circulation. The parcel was previously approved for a 36-unit residential development, which included three 3-story buildings with 12 units each. While the original plans and permits have since expired, the framework presents a strong starting point for redevelopment. The prior design featured a balanced unit mix of eighteen 2 bed/2 bath and eighteen 2 bed/1 bath residences, all with in-unit laundry and generous layouts of approximately 1,000 SF per unit. Each building was planned to be approximately 11,525 SF, with 36 on-site parking spaces included. Developers can opt to resubmit the previously approved plans to the City of Berwyn or design a new vision tailored to current market demand. With its proximity to Ogden Avenue, public transportation, schools, medical facilities, and shopping, this site presents a rare infill opportunity in a growing suburban market with strong rental and ownership demand.
- Listing Status:
- Active
- Listing Office:
- Sperry Van Ness : 312-676-1870
- Listing Agent:
- Angelo Labriola : 708-307-7529
- MLS ID:
- 12447354

- Road/Access: AsphaltCity Street
- Originating MLS: mred
- School District: 100
- County: Cook
- Zoning: MULTI16321300090000
- Utilities: Electricity AvailableNatural Gas AvailableSewer ConnectedWater Available
- Source: mred
- Ownership: Fee Simple
This listing courtesy of Angelo Labriola, Sperry Van Ness
Monthly Payment
- Principal & Interest $
- Property Taxes $
- Home Insurance $
- VA Funding Fee $
Location
Schools Nearby
J Sterling Morton East High School
2423 S Austin Blvd, Cicero, IL, 60804
Grades 10-12
1.23 miles away




