95 Caldwell Road, Danville, KY 40422
Land
Built in ——
1.78acre lot
—— car garage
$——/sqft
Listed 1 month ago
Property Description
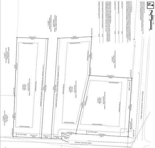
On the market for the first time in over 100 years, Dexter Real Estate proudly presents a 3-parcel portion of one of Boyle County's most recognizable and premier farms -- located just off of the prominent Kentucky Bourbon Trail / Lincoln Heritage Scenic Byway (Perryville Rd / US-150) and 10 minutes to vibrant Downtown Danville. Thoughtfully-subdivided into three 1.5+-acre turnkey residential building lots, with water and electric at the road, each parcel is cleared, gently rolling, and ready for the all-new spectacular home of your dreams! Locals know, on Caldwell Rd, there are panoramic views for miles over sprawling, lush farmland to the knobs. Experience some of the most awe-inspiring sunsets you will find in Central Kentucky. Some building and deed restrictions apply; inquire for details. Boyle County School District.
- Listing Status:
- Active
- Date Added:
- September 8, 2025 at 05:00AM
- Listing Office:
- Dexter Real Estate : 859-236-8830
- MLS ID:
- 25500757

- Topography: Gentle SlopingCleared
- Zoning: AR029-000-013-1
- Current Use: CattlePasture
- Utilities: Electricity AvailableWater Available
- Source: Imagine MLS (Bluegrass REALTORS®)
This listing courtesy of Dexter Real Estate
Monthly Payment
- Principal & Interest $
- Property Taxes $
- Home Insurance $
- VA Funding Fee $
Location
Schools Nearby
Woodlawn Elementary School
1661 Perryville Rd, Danville, KY, 40422
Grades PK-5
2.45 miles away
Boyle County Middle School
1651 Perryville Rd, Danville, KY, 40422
Grades 6-8
2.41 miles away
Boyle County Day Treatment
1637 Perryville Rd, Danville, KY, 40422
Grades 6-12
2.54 miles away





